案例分析
机动车交通事故责任纠纷
营运货车贬值损失案例
车辆贬值案例
【以案说法】买到调表二手车,车主能否获取赔偿?
非真实性发动机事故损坏痕迹鉴定案例
汽车电气系统寄生电流的检测研究
汽车转向系典型故障分析
关于挂车质量是否符合国家标准的机动车司法鉴定
非真实性发动机事故损坏痕迹鉴定案例1
非真实性发动机事故损坏痕迹鉴定案例2
关于制动装置技术状况与事故成因关系的机动车司法鉴定
中院二审改判明确:受害人为确定其损失支付的鉴定费属于法律规定的必要的、合理的费用,应当由保险公司承担!
高院再审明确:超标电动车属于不符合国家标准的缺陷产品,驾驶该超标电动车发生交通事故的,电动车销售商应当承担赔偿责任!
2022年江西某法院判决退一赔三案例
财产保险合同纠纷民事一审民事判决书
车辆自燃案件中产品责任问题的法律分析
河北唐山中院火烧车判例
吉林中院案例:市场监管总局对二手车交易车辆鉴定的从业范围解释中,包含机动车火灾事故鉴定评估,且与消防认定不冲突,法院采信鉴定意见
换2车门未告知,二手车商被判退一赔三!
泡水车形成时间法院判例
里程表被调低6万公里,法院判卖家全额退款!
北京高院机动车贬值案件判例
高院再审明确:车辆贬值损失!
中院二审!侵权人的电动二轮车已纳入电动自行车管理,鉴定机构已对该类鉴定不予受理,故对保险公司提出的车辆属性鉴定申请不予准许!
法院第一次委托,是不是重新鉴定?是否需要高级职称?

汽车转向系典型故障分析

摘要:在我国随着汽车保有量的增加,因车辆技术方面出现故障发生的交通事故的数量呈现上升趋势。本文通过典型案例分析可以看出,车辆转向系统部件发生故障时所造成的危害;同时在我们现行零部件检验制度下,类似的零件缺陷难以被发现,如何防止四类不合格零部件装配到整车上,值得商家和有关部门共同研究。

关键词:汽车 转向系 转向节臂 金相组织 缺陷 孕育剂

1.概述

汽车转向就是保证汽车能够按照驾驶员的意志改变或恢复行驶方向。转向系按转向动力源的不同分为机械转向系和动力转向系。机械转向是以驾驶员的体力为动力源,传力件都为机械的。动力转向是以发动机或电动机为主要动力源,转向轻松,它分为液压助力和电动助力。

图1.gif

为使汽车在转向时减少附加阻力和轮胎磨损,汽车转向时各个车轮都应做纯滚动,此时各轮的轴线必须相交于一点,见图1。交点O称为转向中心。该中心随驾驶员操纵前轮转角的变化而改变,因此也称为瞬时转向中心。由图中可看出,这时汽车的内转向轮偏转角β大于外转向轮偏转角α,两者的关系时:

conα=conβ+B/L

式中:B为两侧主销间的距离;L为汽车轴距。

2.汽车转向系的基本要求

根据GB17675—1999的规定,转向系转向时转向车轮的偏转必须是渐进的。转向系统必须有足够的刚度且坚固耐用,以确保行驶安全。转向系统中的液压、气压或电气部件部分或全部失效后,转向系统必须有控制汽车行驶方向的能力。

3.案例勘验和分析

3.1.据称:2012年8月4日16时20分左右,驾驶员驾驶车辆在山东省某省道正常行驶中,车辆突然失控与路左侧(行驶方向)树木碰撞,并产生翻滚,事故造成车辆严重损坏。事后发现左前轮从车体上脱落。该车铭牌显示车辆于2011年4月制造。

3.2.事故造成该车右大灯及右角灯破碎。右前叶子板、机盖右侧产生挤压变形,漆面刮伤;前风档玻璃、右前门玻璃破碎;右侧围上沿布满密集的横向及斜向刮痕;车顶产生皱折性变形,天窗玻璃破碎;右侧车门及右后叶子板变形较小,漆面基本完好;后风档玻璃破碎,后箱盖、后围板左侧、左后叶子板产生严重变形,后保险杠脱落;左后轮外侧有刮碰痕迹,轮辐内夹有麦秸;左侧两车门未见明显碰撞变形痕迹。前保险杠未见明显损坏。车辆底部未见碰撞痕迹。

3.3.左前叶子板、左A柱、左大灯未见明显碰撞变形痕迹;左前轮脱落,左下摆臂与转向节连接球头与球碗脱离,球碗及连接座向右后侧弯曲变形,方向机左横拉杆外侧断裂,左转向节臂与减震器连接处断裂,断裂处无明显撞击变形痕迹;左前轮轮毂外侧有明显刮擦伤痕,内侧边沿局部断裂,整体无明显变形,轮胎外表面无明显撞击破损痕迹。

3.4.为进一步确定事故的成因,对断裂的左前轮转向节臂从车体上及车轮上拆卸取样后做进一步检验。

3.5.经对事故发生地点勘验,发生地路面为平坦的沥青路,路宽 约20m,路沿石与路面高度基本一致,路右侧(行驶方向)所有树木未见碰撞痕迹;路左侧有一树木被撞击后树皮脱落,碰撞产生最高点约1300mm,树下堆集有大量碎麦秸;由于勘验时距事故发生时时间较长,事故造成的路面划痕已模糊不清。

3.6.根据提供现场照片显示,事故发生时天气为小雨,车辆车身翻转180°,最终停止点位于路左侧行驶道位置,距碰撞点(路左侧大树)约50m;在停止点车头前侧有车辆滑移时与地面摩擦造成的划痕。

4.分析说明

4.1.经对取样带回的左前轮转向节臂进行断裂失效分析,情况如下:

4.1.1转向节臂断裂情况及宏观断口检查:

失效件为该车左转向节臂,断裂位置如图2所示,转向节臂断裂节肩位置无明显塑性变形。图3所示为2号试件断口的形貌,断口表面已经严重氧化,断口四周呈剪切起伏,表面粗糙度较大,由靠近轴孔的节肩内侧A向外侧C粗糙度逐渐增大,由此可断定裂纹起始于A侧裂纹源呈现多源开裂特征。

图2.jpg

图3.jpg

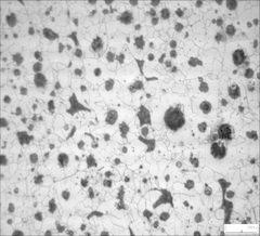
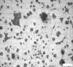
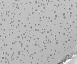
4.1.2金相组织分析

在断口2号试件横向截取试样,试样经镶嵌、磨制、抛光,在未经侵蚀的情况下观察试样的球化级别和石墨大小。根据GB/T9441-2009《球墨铸铁金相检验标准》石墨球化级别为3级,石墨大小为6级,见图4、图5所示。用4%硝酸酒精溶液腐蚀观察组织,在金相显微镜和扫描电镜下观察。该转向节所用的材料基体组织为铁素体球墨铸铁,珠光体数量为24B,见图6、图7所示。在试样的四周边缘区域有0.1mm左右的珠光体层,此外在四周边缘存在大量的缺陷,有表面加工痕和夹杂物等;经能谱成分鉴定,有大片状石墨裂纹、硫化物夹杂、氧化铝夹杂、氧化硅、氧化铁以及孕育剂熔解不充分而形成的大块的深而尖的裂纹表面缺陷,见图8、图9。

图4.jpg

图5 (1).jpg

图6.jpg

图7.jpg

图8.jpg

图9.jpg

4.1.3扫描电镜断口形貌

对转向节臂的2号试件断口部位进行扫描电镜观察,得到试件断口微观形貌,在断口的四周表面有微裂纹缺陷,为微裂纹的萌生和扩展提供了条件;断口表面被氧化物所覆盖,但局部仍可观察到断口为铁素体基体球墨铸铁的脆性断裂。

4.1.4分析

根据断口的形貌观察分析表明,转向节臂断口成脆性断裂特征。试样的表面有加工痕、夹杂物以及充分熔解的孕育剂形成的深而尖的裂纹表面缺陷,为微裂纹的萌生和扩展提供了条件,为裂纹源区。在试样的表层为0.1mm的珠光体层,基体为铁素体球墨铸铁,这种材料组织的缺陷和不均匀性,会使材料的变形不协调,从而过早地诱发裂纹,加速转向节臂材料的断裂。

4.2.事故形成过程分析

根据转向节臂及其相关部件结构简图可知,转向节臂不但承受车身的部分重力和来自地面的冲击力,且在车辆制动过程中还承受扭转力的作用。所以在车辆使用中转向节臂承受的是不断变化剪切力和扭转力的共同作用。在事故中车辆前保险杠未见损坏,车辆底部未见碰撞痕迹。车辆顶部、前机盖右侧及右侧围上沿布满密集的斜向及横向拉伤,车左后部变形严重,左后轮外侧有刮擦痕迹,轮辐内夹有碎麦秸,车辆右后及左前、左中部(如右后叶子板、左前叶子板、左侧两车门等)未见明显碰撞变形。左前车轮脱落,左下摆臂与转向节连接球头与球碗脱离,球碗及连接座向右后侧弯曲变形,左前轮毂外侧有明显刮擦伤痕,整体无明显变形,轮胎外表面无明显刮擦破损痕迹;根据对事故地点的勘查,此路面为平坦的柏油路,路沿石与路面高度基本一致,路右侧(行驶方向)所有树木未见碰撞痕迹,路左侧有一树被撞击后树皮脱落,碰撞痕迹最高点为1300mm;树下堆集有大量碎麦秸。所以此次事故的形成过程应为,该车在正常行驶时,左前轮转向节臂(减震器连接处)断裂,使左前车轮外翻且与车体分离,车轮在惯性的作用下外侧与路面摩擦形成刮擦痕迹。车辆因突然失去左前车轮操纵稳定性失去控制,在惯性力的作用下做纯物理运动向左侧滑,车左后部与路左侧的树木产生撞击后翻转180°,车顶着地滑移至最终位置。

▲转向节臂及其相关部件结构简图

五、结言

根据本案例的资料可知,该车2011年4月制造,2012年8月发生交通事故,车辆使用时间大约16个月。通过对事故形成过程和相关检材分析可知,车辆在正常行驶过程中由于转向节臂的突然断裂造成此次交通事故。转向节臂的断裂是因为材料组织的缺陷和不均匀性造成,部件的此类缺陷在检验过程采用一般的检验手段难以发现。从车辆自身看只要是涉及操纵稳定性和行驶安全性的零部件一旦发生损坏或变形后果将不堪设想,给车主及社会造成生命和财产损失。所以在GB7258—2012《机动车运行安全技术条件》中转向系和制动系的的性能等有严格的规定。笔者通过统计发现,在我国随着汽车保有量的增加,因车辆技术方面出现故障发生的交通事故呈现上升趋势。通过案例分析可以看出,车辆操纵稳定性和行驶安全性方面发生性能故障时能造成巨大危害,在车辆结构上组成车辆转向系和制动系的零部件众多,各零部件材料也不相同,所以在我们现行零部件检验制度下,如何防止不合格零部件装配到整车上,值得商家和有关部门共同研究。

参考文献:

1.冯晋祥主编.陈德阳王林超副主编.汽车构造 人民交通出版社出版 2007.9

2.GB/T9441-2009《球墨铸铁金相检验标准》

3.GB17675—1999《汽车转向系基本要求》